7. マルチビーム測深機: 水中地形の 3D マッピング

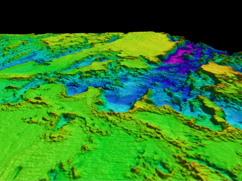
マルチビームエコーサウンダー (MBES) は、水中地形の非常に詳細な 3 次元マップを提供することにより、水中偵察を変革しました。この複雑なデバイスは、容器の下で、一連のトランスデューサーを使用して、扇状の形状で多数の音声ビームを放出します。 MBES は、海底からの音波の反射のタイミングを測定することで、水中の地形の正確な深浅地形図を提供できます。 MBES は、単一のパスでシーフラワーの広範囲をカバーできるため、水中調査の有効性と速度が大幅に向上するという点で、従来のソナー システムとは異なります。得られたデータから海底の高解像度 3D モデルを作成できるため、海山、水中の渓谷、さらには微細な物体までを驚くほど詳細に表示できます。沿岸の浅瀬から深海の深海平原まで、最新の MBES システムは複数の深さで実行できるため、幅広い用途に柔軟に対応できるツールです。高度な MBES システムは、水深測量のマッピングとは別に、返される音波の強度によって海底の組成を明らかにすることもできます。数種類の堆積物の同定、考えられる資源の検出、海洋環境の評価はすべてこの能力に依存しています。 MBES は、水中偵察での成功以来、現在、海洋調査、海洋エネルギー開発、海洋建設、海図作成に必要な手段となっています。技術の発展に伴い、水中世界を調査し理解する能力をさらに高めるのは、より鮮明な解像度、より広い範囲、および強化されたデータ処理能力を備えた MBES システムです。